・<11月中旬予定>(仮称)木曽川玉ノ井商業施設
(マックスバリュ中部・ケーヨーD2)
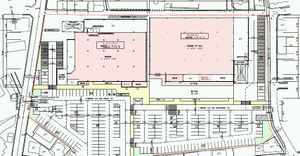
愛知県一宮市木曽川町玉ノ井吉原西1外
敷地面積 18,129.91㎡(借地)
建築面積 6,222.32㎡ 延床面積 6,266.73㎡
店舗面積 5,020㎡ 駐車場 231台
営業時間(予定) SM 9時~24時
HC9時30分~19時30分
大店立地届出予定 2011/3月
建築着工予定 2011/6月初旬
竣工予定 2011年10月初旬
出店概要書
愛知県ページ
「艶金興業木曽川工場」跡地にスーパーマーケットとホームセンターで出店。解体工事は済んでいるが、大店立地届出は3月の予定。
工場の門だけ残されているのだが、なんとなく写真を撮るのが失礼かと思い、表札は写真に収めていない。
その解体現場から高島屋の袋をいくつか提げた人たちが出てきて、御近所の挨拶まわり。ご近所は工事着工予定の6月から数ヵ月は騒音に、そして開店後は週末の渋滞(あるかな?)と早朝の納品車と24時まで営業の音と光に悩まされることでしょう。お気の毒です。スーパー側も本当に気を使っているんですよ。
食彩賓館が住宅街の店長だったころ困ったのは御近所の皆様からのご意見。
「惣菜の臭い」「コンプレッサーの騒音」「早朝の納品車の音」。生活者としては本当に困る問題なのだが、店長ではなんとも解決ができないことが多い。本部の連中が勝手に店を造って、たまたまそこに配属された者にすべてクレームの責任を押し付ける。どこの企業にもあるんだろうなあ。大変ですが、挫けず頑張りましょう。
スーパー側の悩みとしては、地図に掲載されているスーパー三心だけでなく、1kmほど離れた場所に出店しているカネスエ開明店とさらに1km少し離れているヤマナカ ザ・チャレンジハウス開明店。
こりゃ厳しいわ。
「ザ・ビッグエクストラ」だったらなんとかなりそうだが、そうすると今度はイオン木曽川に影響が出そうだ。
******************
●食彩賓館 関連記事
・2010/02/19ヤマナカ チャレンジハウス開明店
・2009/10/31チェーンストアエイジ「KATの流儀」について食彩賓館の関連記事紹介
・2010/12/29ディスカウント推考
・2010/12/28「商品の価値と店の価値」について語る
・2011/02/01ザ・ビッグエクストラ野洲店
その他 企業別記事の索引ページはこちら

